Small Fire Tower Logo Fire Tower Run/Walk

{Course}

 

Home

About

Course

Results

 Sponsors

Links

Contact

 

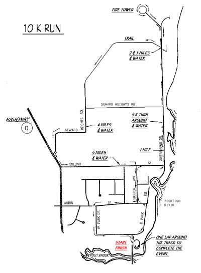
Fire Tower Race - Peshtigo, WI. The course features scenic river views, a wooded trail, and quiet roads.
  hosted by: http://www.peshtigofire.info/